Active
Development Land
2020 Rue La Cannes Dr, Luling, LA 70070
1 / 3

Overview
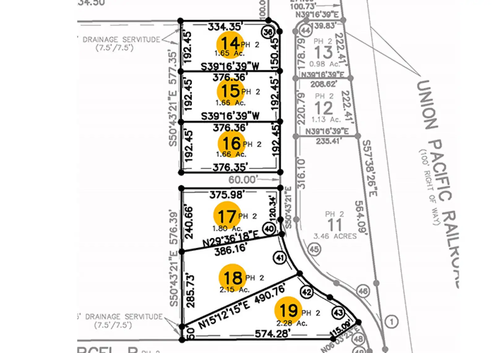
Vacant land parcels are available for sale in Esperanza Business Park in Luling. These parcels are located along Deputy Jeff G. Watson Drive and Judge Edward Dufresne Parkway, and there is one parcel along Rue Sucre. These parcels are primed and ready for development.
Esperanza Business Park consists of a large tract of land divided into various lots. Currently under development for warehouse use are five parcels of land that run along Rue Sucre and are directly across from the parcels that are being marketed. Union Pacific Railroad is adjacent to the parcels and parallel to Hwy 18 (River Road) and the Mississippi River. This site is one mile from I-310 and the Hale Boggs Memorial Bridge, providing ease of connection throughout St. Charles Parish and the region. There is also a planned extension of Judge Edward Dufresne Blvd to La. Highway 3127.
Sizes and prices vary on land parcels, and all are zoned for light industrial. Development subject to some restrictions as per Esperanza Business Park
For Sale
Land
- Sale Price
- $398,365
- Price Per Acre
- $240K/ac
- Acres
- 1.66 ac
- Submarket
- St Charles Parish
- Nearest MSA
- New Orleans-Metairie
- In Opportunity Zone
- Yes
- County
- St. Charles Parish
- Created
- 05/06/2025
- Updated
- 05/06/2025
- Listing ID
- 3a8b2820
- Parcel APN
- 155600000017
