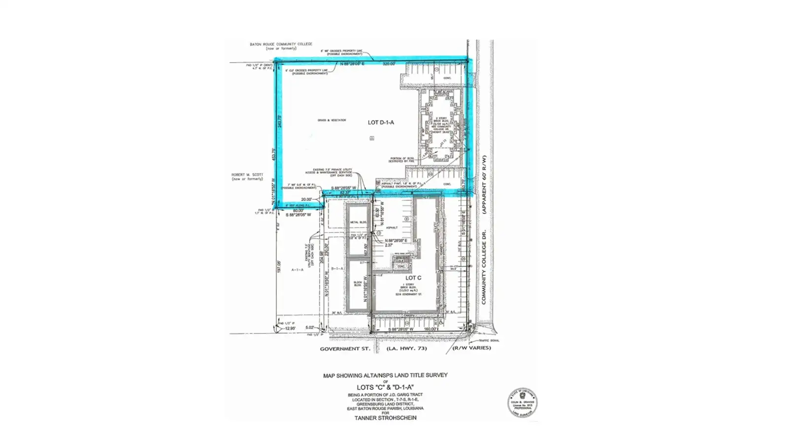
Active
1.77 Acres - C1 - No Flood - Build-Ready
460 Community College Dr, Baton Rouge, LA 70806
1 / 6

Overview
1.77 Acres - - Ready to Build
- Zoned C1
- All Utilities On-Site
- City Water/Sewer, Entergy, BR Water, Fiber
- $11.37/ft.
- No Wetlands, No Flood
- Can be combined with 0.84 Acres to the South with Government St. Frontage
- To Create 2.61 Acres Total Contiguous (Price at $14.72/ft)
- See 2.61 Acre Combined Listing in the "Links" Section
- Note: 2-Story Brick Building depicted in the Survey has been demolished.
Attachments
For Sale
Land
- Sale Price
- $875,000
- Price Per Acre
- $494.4K/ac
- Acres
- 1.77 ac
- Is Vacant
- Yes
- Zoning Description
- Light Commercial
- Sale Terms
- Cash to Seller
- Adjacent Parcels Available
- Yes
- County
- East Baton Rouge Parish
- Available
- 2025-10-10
- Created
- 2025-10-06
- Updated
- 2025-10-10
- Listing ID
- 0b5ed2a7
- Parcel APN
- 738131




