Active
TBD Petes Hwy
TBD Petes Hwy, Denham Springs, LA 70726
1 / 8

Overview
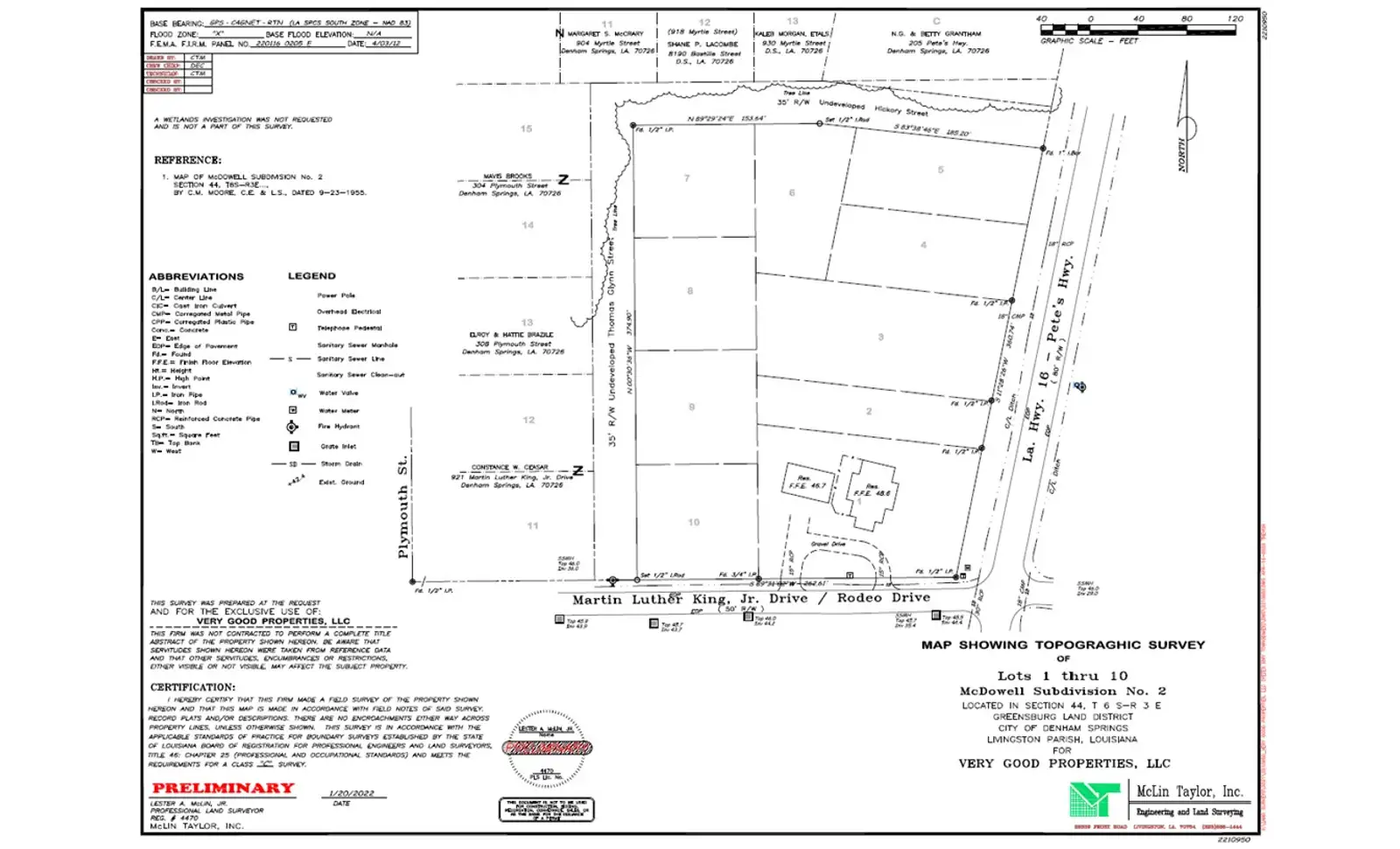
1.8± acres of vacant land available in the City of Denham Springs. The property sits just two blocks from Hwy 190 (Florida Blvd) near the intersection of Pete’s Hwy and Martin Luther King Jr. Drive. Offering dual access, the site features 212 feet of frontage on Pete’s Hwy and 100 feet of frontage on MLK Jr. Dr. Zoned C2, this property is well-suited for a variety of commercial uses. Located in Flood Zone X, no flood insurance is required. Site includes lots 3-10.
- 1.8± acres of vacant land (Lots 3–10, McDowell Subdivision No. 2)
- Located in the City of Denham Springs
- Just two blocks from Hwy 190 (Florida Blvd)
- Near the intersection of Pete’s Hwy & Martin Luther King Jr. Drive
- Dual access with 212’ frontage on Pete’s Hwy & 100’ frontage on MLK Jr. Dr.
- C2 zoning – ideal for a variety of commercial uses
- Flood Zone X – no flood insurance required
Attachments
For Sale
Land
Secondary Uses: Office, Retail, Multifamily
- Sale Price
- $350,000
- Price Per Acre
- $194.4K/ac
- Acres
- 1.8 ac
- Is Vacant
- Yes
- Zoning
- C-2
- Zoning Description
- Commercial
- County
- Livingston Parish
- Created
- 09/17/2025
- Updated
- 09/17/2025
- Listing ID
- 461ea246
- Parcel APN
- 0356790






