12939 Hooper Rd-2.556 Acres
12939 Hooper Rd, Baton Rouge, LA 70818

Overview
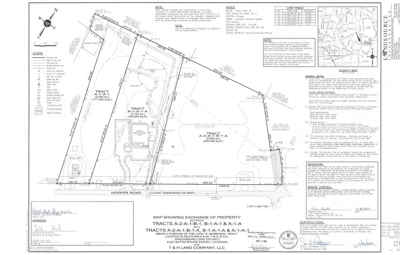
12939 Hooper Road – Tract A-1-A-1 (2.55 ± Acres) | $4.35 PSF
Located within the City Limits of Central, this 2.55± acre B-5 Large Scale Commercial site offers approximately 148.16± feet of frontage on Hooper Road, providing excellent visibility and access along one of the area’s primary commercial corridors. The property is positioned between Joor Road and Sullivan Road and is surrounded by established and expanding commercial development.
The site includes a small existing building currently operating as a vehicle inspection business. Zoned B-5, the purpose of the Large-Scale Commercial/Business District is to accommodate high-intensity development, specifically large-scale retail and office uses that serve patrons residing both within and outside of the city. The tract is located in Flood Zone AE.
Additional Frontage Available: There is potential to purchase an additional ±0.5 acre adjacent to the property, which could be combined with Tract A-1-A-1 to provide approximately 120± additional feet of frontage on Hooper Road, further enhancing visibility, access, and overall development potential. (Area Shown in yellow on photo)
This parcel is well suited for retail, service commercial, office, automotive-related uses, or multifamily redevelopment in the rapidly growing Central market.
Attachments
For Sale
Secondary Uses: Multifamily, Office, Retail
- Sale Price
- $485,000
- Price Per Acre
- $189.7K/ac
- Acres
- 2.556 ac
- Zoning
- B5
- Zoning Desc.
- Large Scale Commercial Business District
- Parish
- East Baton Rouge
- Listed
- 01/14/2026
- Updated
- 03/12/2026
- Listing ID
- 91d05f95
- Parcel APN
- 30845024




