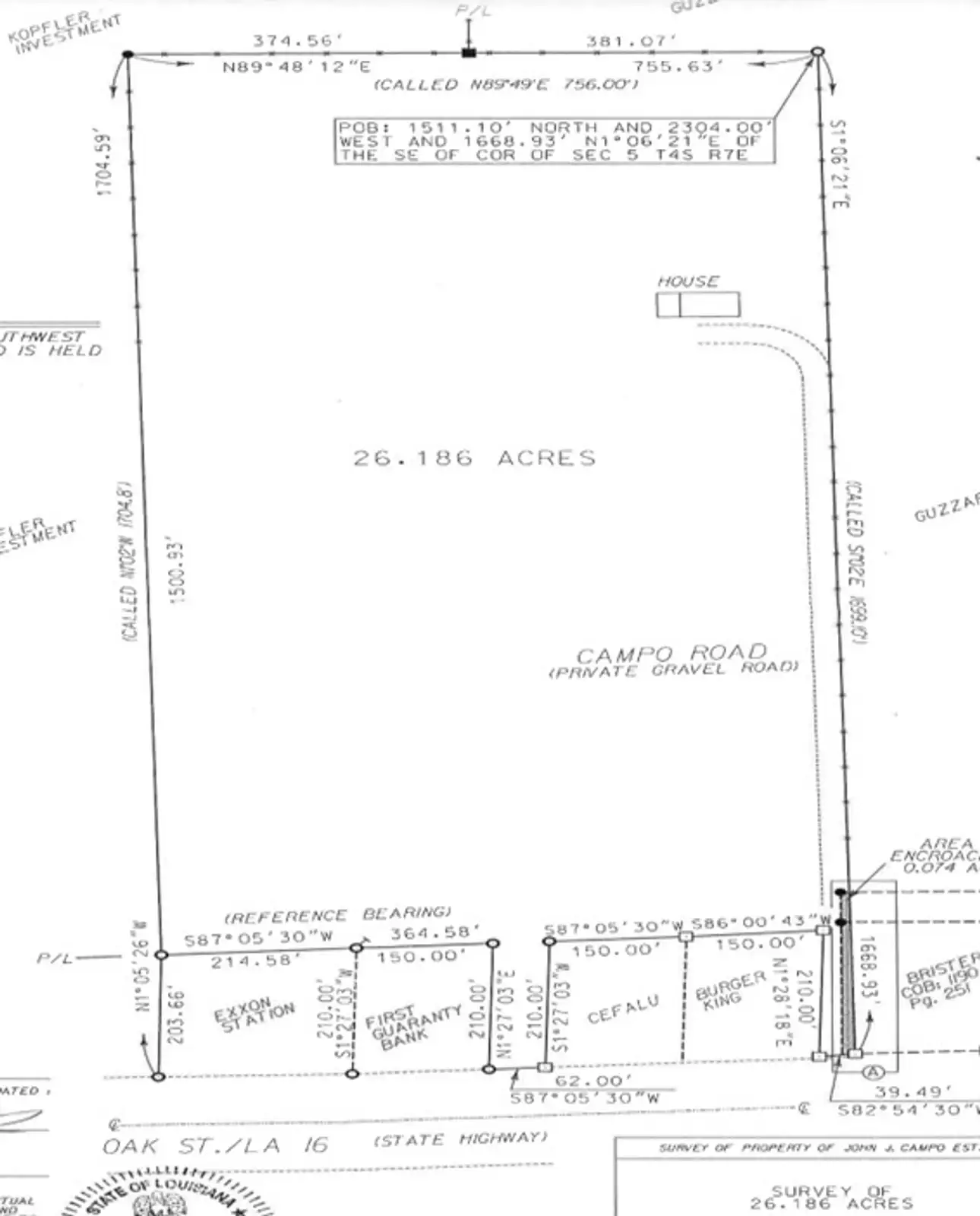
Commercial Development Land
128 W Oak St, Amite, LA 70422

Overview
This expansive 26.1-acre property in Amite, Louisiana, offers an exceptional opportunity for commercial development, strategically located along Highway 55, a key trucking corridor. Highway 55 is a heavily trafficked route connecting southeastern Louisiana to Mississippi and is crucial for freight movement, making this site ideal for businesses that require high visibility and easy access to transportation networks. The surrounding area features a variety of commercial enterprises, including retail stores, restaurants, and services, such as Cooper's Bakery, Murphy's Family Restaurant, and Walmart Supercenter, providing a strong consumer base and potential for business growth. The property's size and prime location make it well-suited for diverse commercial ventures, including retail centers, warehouses, or distribution facilities. However, its potential doesn’t stop there—this property could also be an excellent candidate for hospitality projects, specialty businesses, or even multi-family residential development. Its proximity to major highways, including Interstate 55, enhances its appeal for logistics and transportation-related businesses, while offering ample space for creative, high-demand uses like hotels, motels, or apartment complexes. With access to key infrastructure and a thriving local economy, this property offers tremendous potential for developers and investors looking to capitalize on the high traffic and growth opportunities in the region.
Attachments
For Sale
Secondary Uses: Hospitality, Industrial, Multifamily, Office, Residential Development
- Sale Price
- $1,566,000
- Price Per Acre
- $60K/ac
- Building Size
- 1,764 SF
- Acres
- 26.1 ac
- Submarket
- LACDB - 86
- Parish
- Tangipahoa
- Listed
- 03/03/2026
- Updated
- 03/03/2026
- Listing ID
- 92d4f403
- Parcel APN
- 446602








