Development Site on Baringer Foreman
9765 Barringer Foreman Rd, Baton Rouge, LA 70809

Overview
Price Reduction Effective February 2026
This property is located on Barringer Foreman Road, just off the Airline Highway corridor, offering convenient access to Highland Road and I-10. Airline Highway serves as a primary connector between Ascension Parish and East Baton Rouge Parish, with a recorded 2021 AADT of 34,608.
The site is immediately adjacent to the Barringer Park Mixed-Use Development and is positioned near other significant projects in the area, including Long Farm Village, a large-scale mixed-use development featuring retail and residential components.
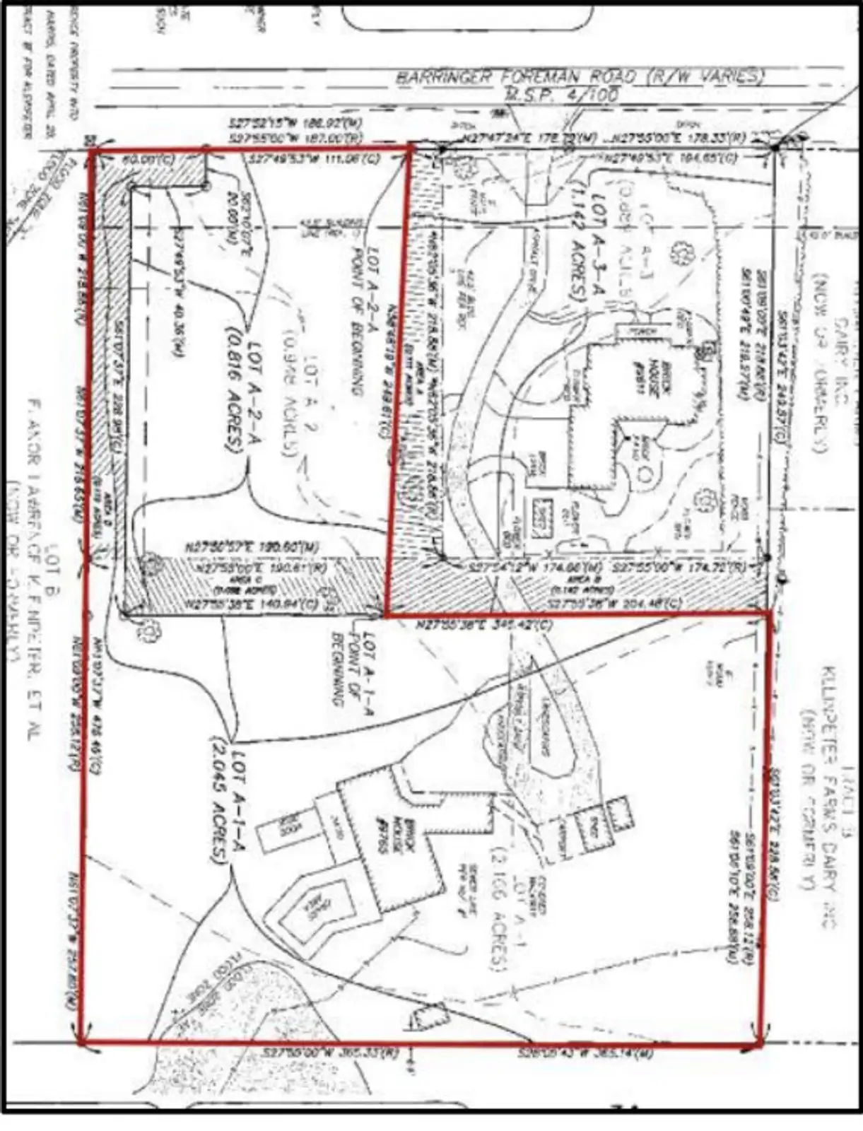
The property is located within the City of St. George and consists of three (3) contiguous parcels totaling approximately 5.3 acres. Improvements include a 3,232 SF single-family residence (see separate link for details), though the property is being marketed primarily for land and development value.
Most of the site is located in Flood Zone X, with limited portions in Flood Zone AE. The current zoning is C-1, and the St. George Future Land Use Plan designates the area for Mixed-Use, supporting a variety of potential development concepts.
Links
For Sale
- Sale Price
- $2,330,500
- Price Per Acre
- $434.8K/ac
- Acres
- 5.36 ac
- Submarket
- LACDB - 62
- Parish
- East Baton Rouge
- Available
- 03/03/2025
- Listed
- 03/20/2025
- Updated
- 02/27/2026
- Listing ID
- 9eecad60
- Parcel APN
- 1497251








